Fsru Jawa-Satu

  • Client :- Jawa Satu Regas
  • Project Type :-

    Offshore

  • Location :-

    Indonesia

Overview

 Key Firsts

This is Asia’s first large-scale gas-to-power project using an FSRU, in which LNG import, regasification, and power generation are fully integrated.

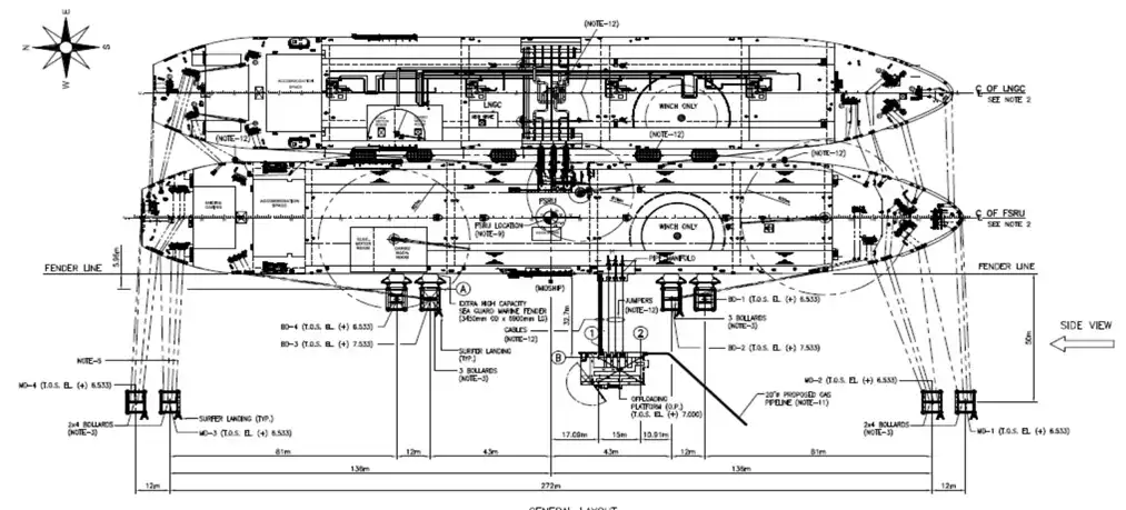
  Ship-to-Ship LNG Transfer

Instead of fixed onshore LNG terminals, the FSRU receives LNG from LNG carriers through ship-to-ship transfer operations.

 Modularity & Flexibility

The FSRU enables faster deployment and requires significantly less onshore land compared to a conventional LNG import terminal with a large onshore regasification plant.

 Large-Scale Gas Turbine Integration

The combined-cycle power blocks integrated with the FSRU and natural gas supply ensure higher efficiency and relatively lower emissions compared to single-cycle plants or other fossil fuel alternatives.

Engineering Services

• Overall project management
• Prepared P&IDs, Process Flow Diagrams, and Safety Documents
• Engineering Design Documentation (Basic & Detailed)
• Naval Architectural Studies
• Mechanical Completion and Pre-Commissioning
• Commissioning and Performance Testing
• Mooring System Design
• Design of Mooring Dolphins
• Design of Breasting Dolphins

Other Projects in this Category